Para depreciar um ativo, deverá aceder ao menu Ativos > Ativos > Fichas e processamento.
A depreciação poder ser efetuada para cada ativo, individualmente, ou em lote, para vários ativos em simultâneo. Abordaremos, de seguida, ambas as formas de depreciação.
Depreciar um ativo
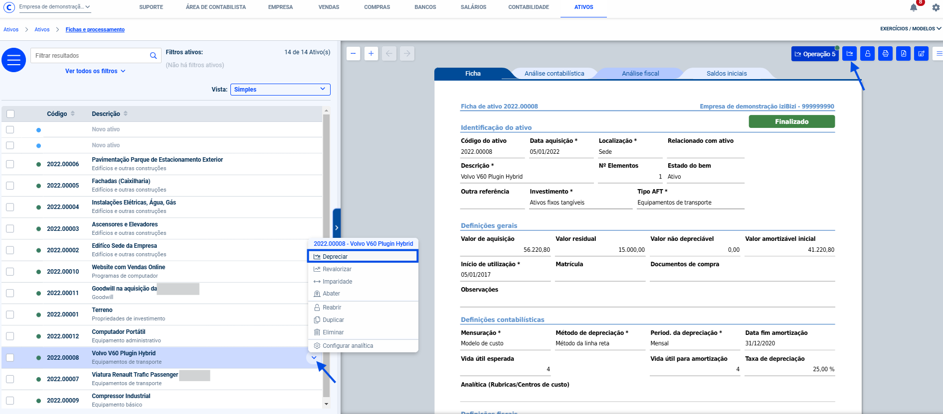
Para depreciar um determinado ativo, deverá, primeiramente, selecionar o ativo pretendido, na listagem das fichas de ativos deste menu. Posto isto, terá de selecionar a opção Depreciar, no canto superior direito da ficha do ativo ou, então, abrir o menu de opções do ativo, na listagem de ativos e selecionar a opção Depreciar.

De seguida, é necessário indicar o ano e os meses para os quais se pretende processar a depreciação e, por fim, clicar em Processar.
Caso o ativo tenha um período de depreciação mensal, será aplicada uma depreciação para cada mês. Caso tenha um período de depreciação anual, a depreciação é aplicada no mês de dezembro, pelo que deverá, neste caso, depreciar o ativo de janeiro até dezembro.
A depreciação irá ficar no estado Em preparação, pelo que, antes de finalizar a mesma, deverá confirmar se os valores da depreciação se encontram corretos nos separadores da Análise Contabilística e Análise Fiscal. Enquanto a operação se encontrar Em preparação, estes valores são apresentados a cinzento, como forma de indicar que ainda não são definitivos.

Pretendendo finalizar a depreciação poderá fazê-lo no menu Ativos > Ativos > Fichas e Processamento, clicando no identificador da operação, que se encontra por cima da ficha do ativo em causa e selecionando a opção Finalizar.

Alternativamente, é possível finalizar a depreciação no menu Ativos > Ativos > Histórico. Aqui, terá de abrir o menu de opções, na linha da operação pretendida, e clicar em Finalizar.

Depreciar ativos em lote
Por forma a depreciar vários ativos em simultâneo, poderá utilizar a opção Depreciar em lote, que se encontra no menu Ativos > Ativos > Fichas e processamento, no canto superior esquerdo.

Alternativamente, também é possível depreciar em lote, selecionando os ativos desejados e posteriormente acionando o botão Depreciar logo em cima.

Caso pretenda depreciar todos os ativos, bastará escolher o ano e os meses pretendidos. Em contrapartida, se pretender depreciar um determinado conjunto de ativos, poderá utilizar os restantes campos, para filtrar os ativos a processar por Localização, Método de depreciação fiscal, Tipo de investimento e/ou por um determinado intervalo de ativos. Após o preenchimento dos filtros pretendidos, terá de clicar em Executar.
De entre os ativos filtrados, para aqueles que têm um período de depreciação mensal, será aplicada uma depreciação para cada mês. Para os que têm um período de depreciação anual, a depreciação é aplicada no mês de dezembro, pelo que deverá, neste caso, depreciar os ativos de janeiro até dezembro.
A depreciação irá ficar no estado Em preparação. Enquanto a operação se encontrar neste estado, os valores da depreciação são apresentados a cinzento nos separadores da Análise Contabilística e Análise Fiscal, como forma de indicar que ainda não são definitivos.
Pretendendo finalizar a depreciação poderá fazê-lo no menu Ativos > Ativos > Fichas e Processamento , clicando no identificador da operação, que se encontra por cima de uma das fichas de ativo que foram depreciados. Aqui, clicando na opção Finalizar, a depreciação será finalizada para todos os ativos processados na operação. Por outro lado, clicando na opção Finalizar neste ativo, a depreciação é finalizada apenas para o ativo da ficha selecionada.

Alternativamente, é possível finalizar a depreciação para todos os ativos no menu Ativos > Ativos > Histórico. Aqui, terá de abrir o menu de opções, na linha da operação pretendida, e clicar em Finalizar.

Após a finalização da depreciação, a declaração Modelo 32 é preenchida automaticamente e já poderá gerar as respetivas sugestões de lançamento (saiba como, clicando aqui).